Hurricane Erin poses threat of dangerous seas near Bahamas
Residents in the Bahamas and Turks and Caicos on Monday braced for the Atlantic season's first hurricane, the Category 4 Erin, after it strengthened over the weekend while sweeping past Caribbean islands.
While Erin is not on track to make direct landfall and has yet to cause major damage, its growing size and strength are threatening rough seas and have prompted some evacuation orders in parts of North Carolina, on the US East Coast.
"Erin's already large size and intensity are acting like a giant plunger on the sea surface," AccuWeather senior meteorologist Alex Sosnowski said in a report.
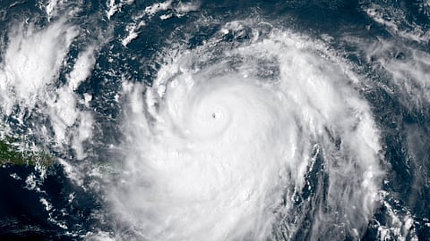
Sosnowski said Erin was among the fastest-strengthening storms on record after it intensified from a tropical storm to Category 5 hurricane, the highest level of the Saffir-Simpson scale, in just over 27 hours.
It makes 2025 the fourth straight Atlantic season with at least one Category 5 storm.
The US National Hurricane Center said Erin was expected to strengthen somewhat on Monday as it sweeps by the Bahamas and Turks and Caicos.
It will likely maintain its force as a dangerous major hurricane through the middle of the week, but avoid contact with Bermuda or the US coast.
As of Monday at 18:00 GMT, the storm was packing maximum sustained winds of 140 miles per hour (225 kilometres per hour) as it skirted north of Hispaniola, the Caribbean's most populous island.
Its strength fluctuated over the weekend, rising on Saturday to Category 5 before dropping back to Category 4 late on Sunday.
It is the fifth named storm of the 2025 Atlantic season and the first to reach hurricane status. The last Atlantic storm to reach Category 5 intensity was Hurricane Milton in October last year.
In Turks and Caicos, an overseas British territory, authorities suspended public services on its largest island and told residents in vulnerable areas to pack in case of evacuation.
The Bahamas' meteorology department said the islands' southeast, as well as Turks and Caicos, were experiencing tropical storm conditions, and warned that boats should not go out to sea until the end of the week.
"The seas could become extremely rough and dangerous during the swells," it said.
Kate Williamson, a Bahamian southeastern district administrator, told local media that the small population living on the eight-square-mile island of Long Cay should move to the mainland and residents finalize their storm preparations.
Even though Erin's eye was forecast to stay well offshore, tropical storm conditions and coastal flooding were possible in North Carolina's Outer Banks, beginning late Wednesday, the NHC said. Erin could also produce life-threatening surf and rip currents along much of the US East Coast.
Evacuation orders have been issued for parts of two North Carolina coastal counties, with forecasters predicting waves up to 20 feet (6.1 metres) and dangerous rip currents on Wednesday and Thursday. Two counties - Dare and Hyde - ordered tourists and residents to leave flood-prone barrier islands of Hatteras and Ocracoke islands.
While the narrow islands have just a few hundred year-round residents, about 2.7 million tourists flock to the Outer Banks each year, mostly during the summer, according to the US National Park Service.
County officials warned anyone who might consider staying put during the storm that they should not count on getting any help from authorities, due to inaccessible roads.
(Reporting by Scott Vincent in London, Sarah Morland in Mexico City, Rich McKay in Atlanta, Ashitha Shivaprasad in Bengaluru and Paul Mathiasen in Santo Domingo; Editing by Alison Williams)

